Νεανική οστεοχόνδρωση ισχίου και πυέλου

0
826

Η νόσος Legg-Calve-Perthes

Η οστεοχόνδρωση, ICD-10 M42, M91-M93 είναι μια οικογένεια  ορθοπεδικών ασθενειών της άρθρωσης που συμβαίνουν σε παιδιά και εφήβους και σε ταχέως αναπτυσσόμενα ζώα, ιδιαίτερα χοίρους, άλογα, σκύλους, και κοτόπουλα.

Χαρακτηρίζονται από διακοπή της παροχής αίματος ενός οστού, ιδιαίτερα στην επίφυση, που ακολουθείται από εντοπισμένη οστεώδη νέκρωση και αργότερα, επανανάπτυξη του οστού.

Η διαταραχή αυτή ορίζεται ως μια εστιακή διαταραχή της ενδοχονδρικής οστεοποίησης και θεωρείται ότι έχει πολυπαραγοντική αιτιολογία.

Η ιδιοπαθής οστεονέκρωση της επίφυσης της μηριαίας κεφαλής 10-20% είναι αμφοτερόπλευρη. Επηρεάζεται το μυοσκελετικό σύστημα και κατά 80% σε ηλικία 4-9 ετών. Οι άνδρες επηρεάζονται περισσότερο από τις γυναίκες και η επίπτωση είναι 15/100.000.


Αιτίες οστεοχόνδρωσης

Η απώτερη αιτία είναι άγνωστη, αλλά οι πιο συχνά αναφερόμενοι αιτιολογικοί παράγοντες είναι η ταχεία ανάπτυξη, η κληρονομικότητα, το τραύμα (ή η κατάχρηση), η ανατομική διάπλαση, καθώς και διατροφικές ανισορροπίες. Ωστόσο, μόνο η ανατομική διάπλαση και η κληρονομικότητα αρκούν για να προκαλέσουν τη νόσο. Παρόλο που η αστοχία της διαφοροποιήσεως των χονδροκυττάρων, ο σχηματισμός ενός εύθραυστου χόνδρου, η αποτυχία της παροχής αίματος προς τον χόνδρο, και η υποχόνδριος οστική νέκρωση όλα μπορεί να είναι αφετηρία στην παθογένεια.

Φαίνεται ότι υπάρχει σχέση με τη διακοπή της αιματικής ροής στην επίφυση της μηριαίας κεφαλής, αλλά πρέπει να τεκμηριωθεί συσχετισμός με τραυματικά, ορμονικά και μεταβολικά αίτια.


Παράγοντες κινδύνου για οστεοχόνδρωση

Εμφανίζει μεγάλη συχνότητα σε παιδιά με χαμηλό βάρος γέννησης και καθυστέρηση ανάπτυξης.


Σημεία και συμπτώματα οστεχόνδρωσης

Οι οστεοχονδρώσεις στους ανθρώπους χωρίζονται σε τρεις ομάδες:

Νωτιαίες: Νόσος Scheuermann με κύρτωση στη θωρακική σπονδυλική στήλη.

Αρθρικές: Νόσος Legg-Calvé-Perthes (άσηπτη νέκρωση της κεφαλής του μηριαίου οστού στο ισχίο), νόσος  Kohler (του ταρσού σκαφοειδούς οστού του ποδιού), νόσος Panner (αγκώνα), και νόσος Freiberg’s (δεύτερου ή τρίτου μετατάρσιου του ποδιού και λιγότερο συχνά πρώτου ή τέταρτου).

Μη-αρθρικές: Νόσος Sever (πτέρνας), νόσος Kienbock (χεριού), και άλλες συνθήκες, όπως η νόσος Osgood-Schlatter (κνημιαία φυματίωση) και η διαχωριστική οστεοχονδρίτιδα).

Σημεία και συμπτώματα οστεοχόνδρωσης

  • Πόνος στο ισχίο με αναφερόμενο πόνο στο γόνατο ή το μηρό
  • Ισχίο σε κάμψη, απαγωγή και έξω στροφή
  • Περιορισμός κίνησης κυρίως έσω στροφή και απαγωγή
  • Ατροφία των μυών του μηρού
  • Ανισοσκελία

Διαφορική διάγνωση οστεοχόνδρωσης

Μονόπλευρη εντόπιση: σηπτικό ισχίο, τοξική αρθροϋμενίτιδα, νεανική ρευματοειδής αρθρίτιδα, φυματίωση, λέμφωμα

Αμφοτερόπλευρη εντόπιση: υποθυρεοειδισμός, σπονδυλοεπιφυσιακή δυσπλασία


Διάγνωση οστεοχόνδρωσης

  • Γίνεται γενική αίματος, ΤΚΕ
  • Σπινθηρογράφημα οστών με τεχνήτιο 999, για την αποκάλυψη οστεονεκρωτικών αλλοιώσεων πριν φανούν στις ακτινογραφίες (98% ευαισθησία και 95% ειδικότητα)
  • Μαγνητική τομογραφία
  • Αρθρογραφία
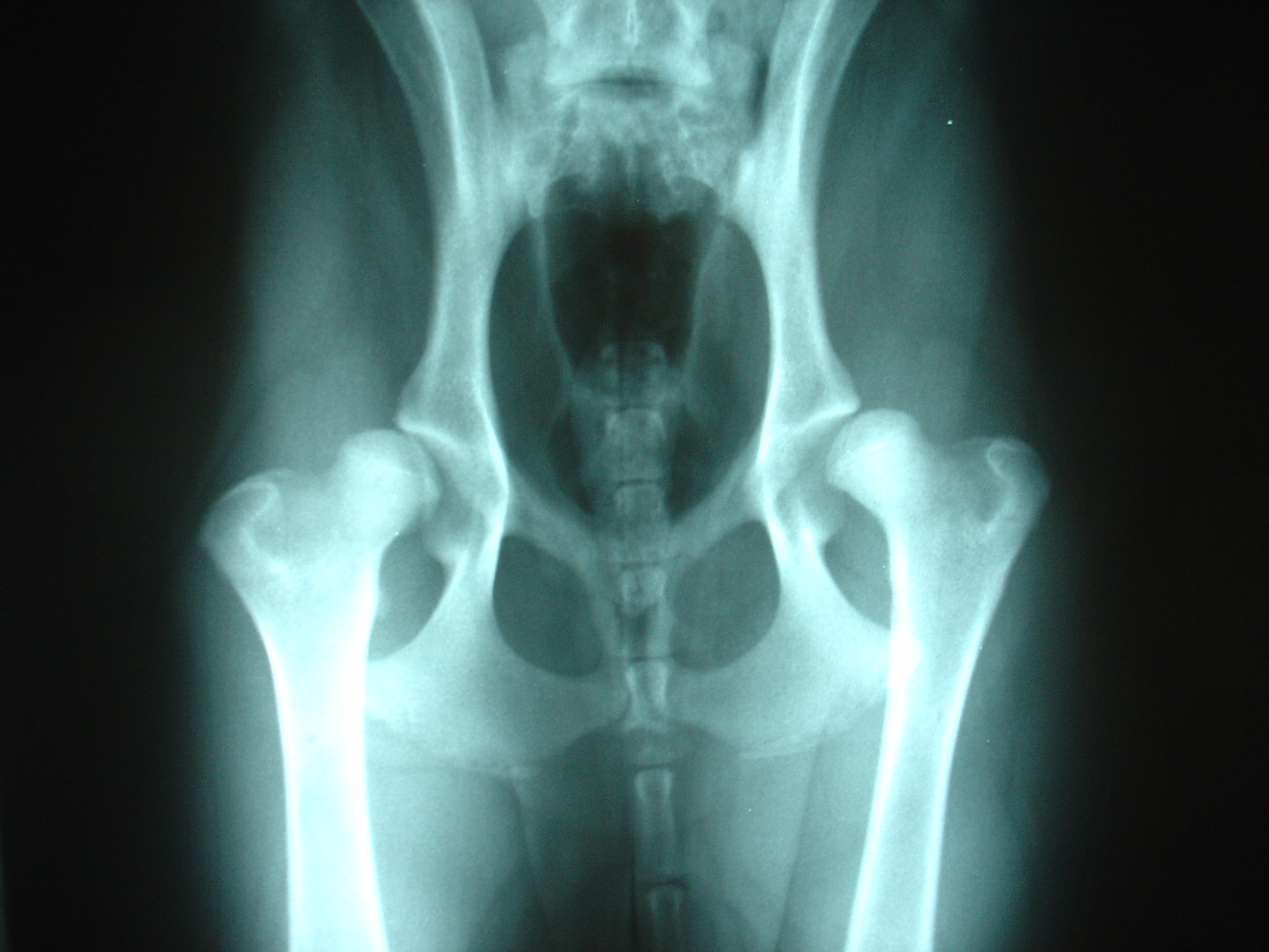
  • Ακτινογραφίες (F+P) για τον καθορισμό έκτασης βλάβης
  • Παρακέντηση σε σηπτική άρθρωση

Θεραπεία οστεοχόνδρωσης

  • Ο ασθενής πρέπει να είναι περιπατητικός
  • Μερικές φορές απαιτείται έλξη ή χειρουργική επέμβαση
  • Οι στόχοι της θεραπείας είναι:
  • Η επίτευξη και διατήρηση του εύρους της κίνησης
  • Αποφυγή φόρτισης του πάσχοντος ισχίου
  • Η μηριαία επίφυση να εμπεριέχεται στα όρια της κοτύλης για να ευνοείται η φυσιολογική ανάπτυξη και εξέλιξη της μηριαίας κεφαλής
  • Η νόσος είναι αυτοϊώμενη με επαγείωση σε 2-3 έτη. 
  • Φάρμακα για την οστεοχόνδρωση: Ιβουπροφένη 20-30 mg/Kg/24ωρο

Απαιτείται συχνή παρακολούθηση κάθε 3-6 μήνες


Πρόγνωση οστεοχόνδρωσης

Οι περισσότεροι ασθενείς (60%) έχουν ικανοποιητική εξέλιξη. Όσο μικρότερη είναι η ηλικία προσβολής τόσο καλύτερη πρόγνωση έχει. Επίσης, η πρόγνωση εξαρτάται από την ακτινολογική έκταση της νόσου. Συνήθως, συνυπάρχει βουβωνοκήλη και εκτοπία των όρχεων. και καθυστέρηση ανάπτυξης.

Πιθανές επιπλοκές οστεοχόνδρωσης

  • Μόνιμη καταστροφή της μηριαίας κεφαλής
  • Εκφυλιστική αρθρίτιδα

Διαβάστε, επίσης

Σε ποιες ασθένειες χρησιμοποιούνται τα πεπτίδια

Υγρά πεπτίδια

Βλαστοκύτταρα ενηλίκων για μυοσκελετικές παθήσεις

Αρθροπλαστική ισχίου

Διάστρεμμα αστραγάλου

Δρεπανοκυτταρικά Σύνδρομα

www.emedi.gr

 

Print Friendly, PDF & Email

ΑΦΗΣΤΕ ΜΙΑ ΑΠΑΝΤΗΣΗ

εισάγετε το σχόλιό σας!
παρακαλώ εισάγετε το όνομά σας εδώ